Motorhome Summary overall this vehicle is in nice condition with no real signs of wear
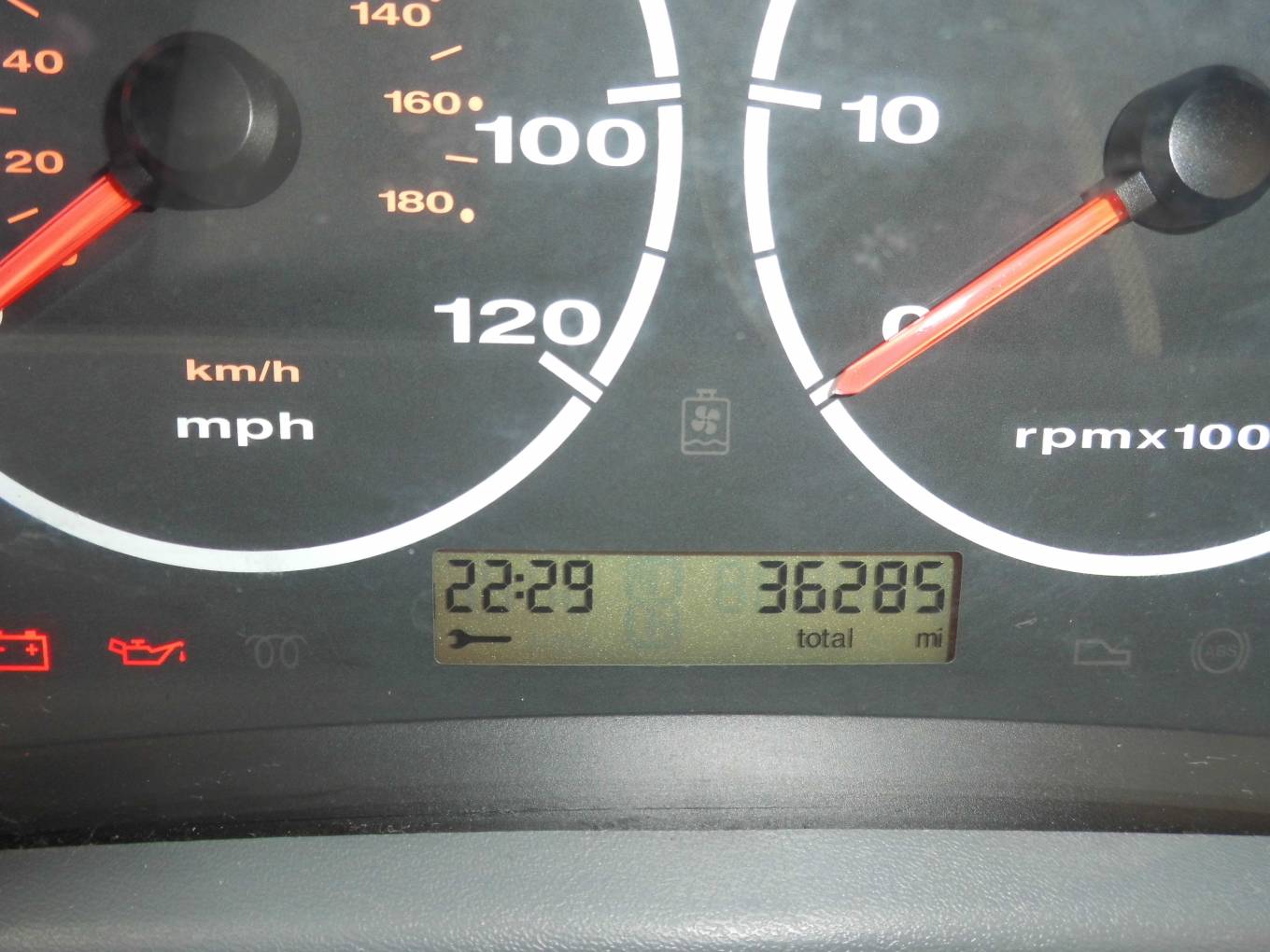
Right-hand Drive, Rear French bed,Manual Diesel,Aerial,Gas bottle, Blown Air Heating,Oven, Radio,Swivel Seats,Toilet,Washroom,Grill,Fridge Freezer,Rear Seat BeltsThis is a good version of Elnaghs best selling Slim 5 model. Based on the excellent Fiat Ducato chassis, this 2.8jtd common rail diesel engine is the pick of the bunch. This low line 4 berth, 4 seatbelt van features a French bed to the rear, centre kitchen and a spacious seating area to the front. 36285 miles from new and an MOT until Feb 2021. To include an awning, cycle rack and a Tv aerial. Plated at 3400kgs. Located in Suffolk. Please note this motorhome is a category D in 2007. Category D being cosmetic panel damage.
The mileage on this vehicle was correct at the time of valuation, however the vehicle remains in use by the Seller until the point it is sold, therefore the mileage at the time of sale may be higher than that advertised.
*Quotations offered are not a formal offer of credit – credit is provided at the discretion of the lender and is subject to full underwriting and credit assessment. Motorhomedepot.com only introduces finance enquiries to Creative Funding Solutions Ltd which is a brokerage regulated by the FCA - Ref - License Number 631176. Please make sure you can afford the repayments before entering into any instalment agreement, as failure to make payments as they fall due could result in additional costs and you may find it more difficult to obtain credit in future.
* All of the motorhomes on this website are sold on behalf of individuals. For more information about brokerage click here. As brokers, we do not carry out inspections on the condition of the vehicle or the mechanics of the chassis. We advise all buyers to obtain a pre-purchase inspection on a motorhome prior to purchasing it. There are businesses that carry out pre-purchase inspections on behalf of motorhome buyers. Below is a link to our sister company Habcheck who provide this service.